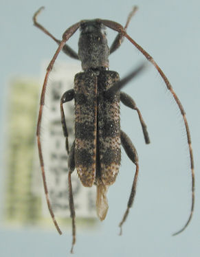
_Gressitt_China_USNM.jpg)
Specimen Type: holotype Sex: f? Institution: NMNH United States National Museum, Washington, DC, USA Photographer: Steve Lingafelter Collection Location: Hong Shan, SE Jiangxi, China 39083
|
_Gressitt_CAS.jpg)
Specimen Type: paratype Institution: CAS California Academy of Sciences, San Francisco, CA, USA Photographer: Larry G. Bezark Collection Location: Hong Shan, SE Jiangxi, China 39084
|