 Bates MNHN Parana, Brazil Moure.jpg)
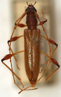
Ectenessa subopaca Bates Specimen Type: holotype Sex: m Institution: MNHN Museum of Natural History Paris, France Photographer: JS Moure Collection Location: Parana, Brazil 101765
|

Nyssicostylus aurivillii Melzer Specimen Type: syntype? Institution: MZSP Museu de Zoologia da Universidade de São Paulo, Brazil Photographer: Steve Lingafelter Collection Location: Passa Quatro, Minas Gerais, Brazil 10650
|