_bella_holotype_male.jpg)
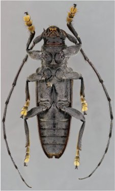
Specimen Type: holotype Sex: f Institution: MZSP Museu de Zoologia da Universidade de São Paulo, Brazil Collection Location: Pozuzo, Pasco, Peru 45078
|
_G_M_LeTirant_SS_MZSP_Pozuzo_Pasco_Peru.jpg)
Specimen Type: holotype Sex: f Institution: MZSP Museu de Zoologia da Universidade de São Paulo, Brazil Collection Location: Pozuzo, Pasco, Peru 45079
|
_G_M_LeTirant_SS_MZSP_Pozuzo_Pasco_Peru.jpg)
Specimen Type: holotype Sex: f Institution: MZSP Museu de Zoologia da Universidade de São Paulo, Brazil Collection Location: Pozuzo, Pasco, Peru 45080
|
_G_M_LeTirant_SS_MZSP_Pozuzo_Pasco_Peru.jpg)
Specimen Type: holotype Sex: f Institution: MZSP Museu de Zoologia da Universidade de São Paulo, Brazil Collection Location: Pozuzo, Pasco, Peru 45081
|

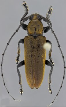
Institution: CSCA California State Collection of Arthropods, Sacramento, California Photographer: Larry G. Bezark Collection Location: E of Narapa, Napo Province, Ecuador 49093
|

Institution: CSCA California State Collection of Arthropods, Sacramento, California Photographer: Larry G. Bezark Collection Location: E of Narapa, Napo Province, Ecuador 49094
|
|