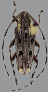
_M_G_Tirant_SS_MZSP_Caranavi_LP_Bolivia.jpg)
Specimen Type: holotype Sex: f Institution: MZSP Museu de Zoologia da Universidade de São Paulo, Brazil Photographer: Antonio Santos-Silva Collection Location: Caranavi, La Paz, Bolivia 45075
|
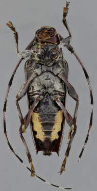
_M_G_Tirant_SS_MZSP_Caranavi_LP_Bolivia.jpg)
Specimen Type: holotype Sex: f Institution: MZSP Museu de Zoologia da Universidade de São Paulo, Brazil Photographer: Antonio Santos-Silva Collection Location: Caranavi, La Paz, Bolivia 45076
|
_M_G_Tirant_SS_MZSP_Caranavi_LP_Bolivia.jpg)
Specimen Type: holotype Sex: f Institution: MZSP Museu de Zoologia da Universidade de São Paulo, Brazil Photographer: Antonio Santos-Silva Collection Location: Caranavi, La Paz, Bolivia 45077
|
|