_Fisher_AMNH_Manneville_Haiti_=_Nesiosphaerion.jpg)
Protosphaeron testaceum Fisher Specimen Type: holotype Institution: AMNH American Museum of Natural History, New York, NY, USA Collection Location: Manneville, Haiti 27923
|
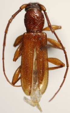
_Fisher_AMNH_JAC_=_Nesiosphaerion_testaceum.jpg)
Protosphaerion testaceum Fisher Specimen Type: holotype Institution: AMNH American Museum of Natural History, New York, NY, USA Photographer: John Chemsak Collection Location: Manneville, Haiti 18324
|