New Search Family, Subfamily and Tribe List

SubFamily Lamiinae

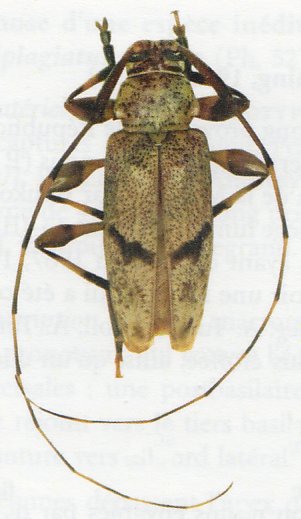
Tribe Acanthocinini
Jordanoleiopus mocquerysi (Jordan, 1894)

Photographer: Eric Jiroux
74742


Institution: JCPC Jim Cope Collection, San Jose, California, USA now at CSCA, Sacramento
Photographer: Jim Cope
Collection Location: Cameroon
73319

130425