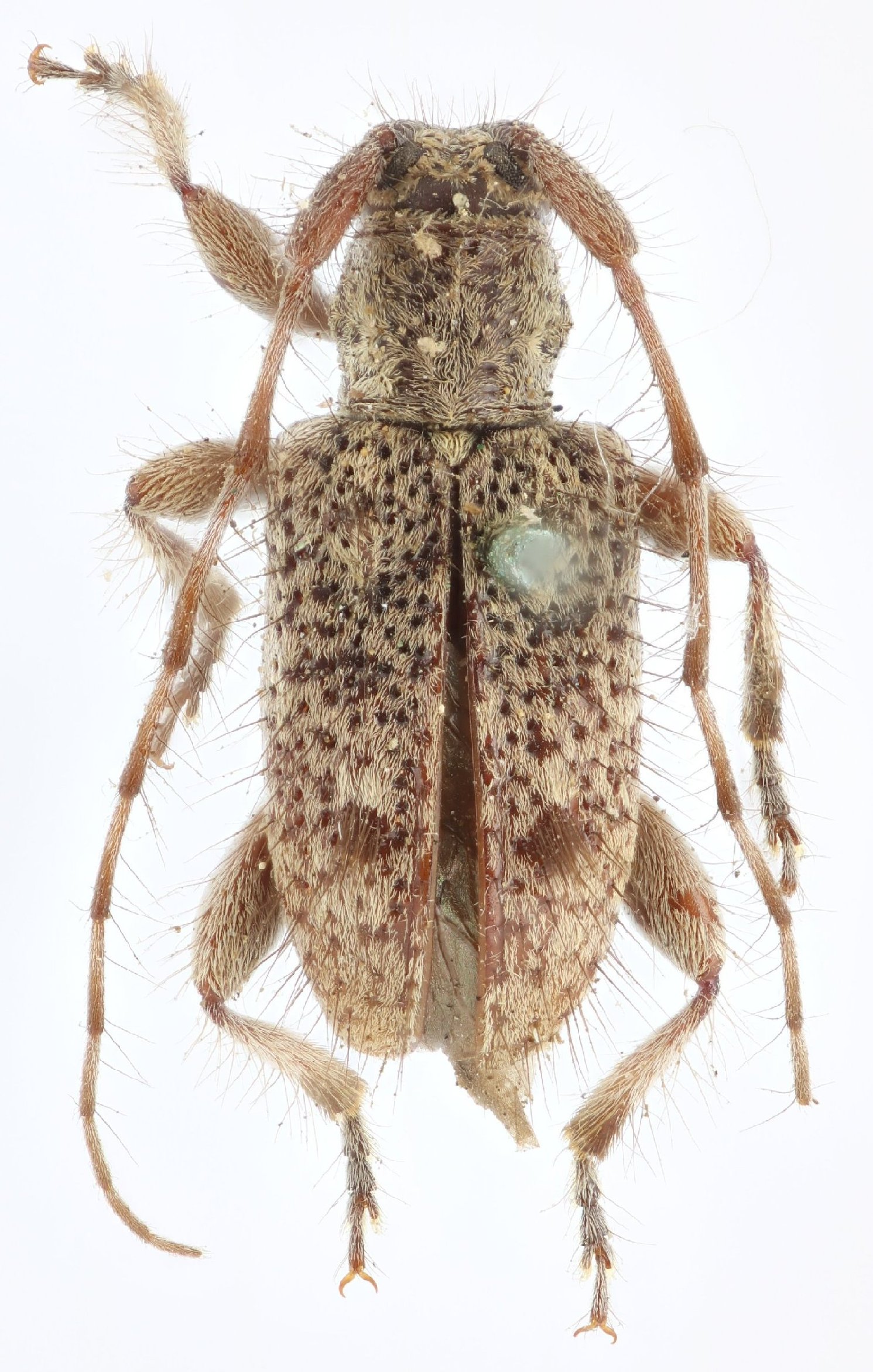
 Pascoe BMNH Natal, South Africa KM.jpg)
Specimen Type: syntype Institution: BMNH British Museum Natural History, London, UK Photographer: Keita Matsumoto Collection Location: Natal, South Africa 79981
|
 Pascoe BMNH Natal, South Africa KM.jpg)
Specimen Type: syntype Institution: BMNH British Museum Natural History, London, UK Photographer: Keita Matsumoto Collection Location: Natal, South Africa 79982
|

Institution: LGBC Larry G. Bezark Collection, Sacramento, California, USA Photographer: Larry G. Bezark Determiner: Jerome Sudre Collection Location: Durban, Kwazulu-Natal, South Africa 76329
|

Institution: LGBC Larry G. Bezark Collection, Sacramento, California, USA Photographer: Larry G. Bezark Determiner: Jerome Sudre Collection Location: Durban, Kwazulu-Natal, South Africa 76330
|
|