New Search Family, Subfamily and Tribe List

SubFamily Lamiinae

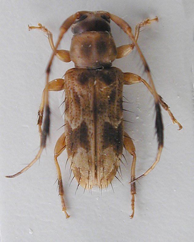
Tribe Acanthocinini
Goephanes fasciculatus Breuning 1957

Institution: LGBC Larry G. Bezark Collection, Sacramento, California, USA
Photographer: Larry G. Bezark
Determiner: Jerome Sudre
Collection Location: Isle Nosy Be, Fascene, Madagascar
65216

130425