_Martins_MZSP_SWL.jpg)
Specimen Type: holotype Sex: f Institution: MZSP Museu de Zoologia da Universidade de São Paulo, Brazil Photographer: Steve Lingafelter Collection Location: Atibaia, Sao Paolo, Brazil 10012
|

Photographer: Jim Wappes Collection Location: Bolivia 10013
|
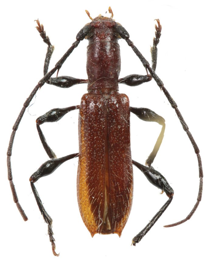
_Martins_Ceu_Azul_Parana_Brazil_Rafael_Barros_pic.jpg)
Sex: m Institution: MZUEL Museum of Zoology, State University of Londrina, Brazil Photographer: Rafael Barros Collection Location: Céu Azul, Paraná, Brazil 74414
|
|