New Search Family, Subfamily and Tribe List

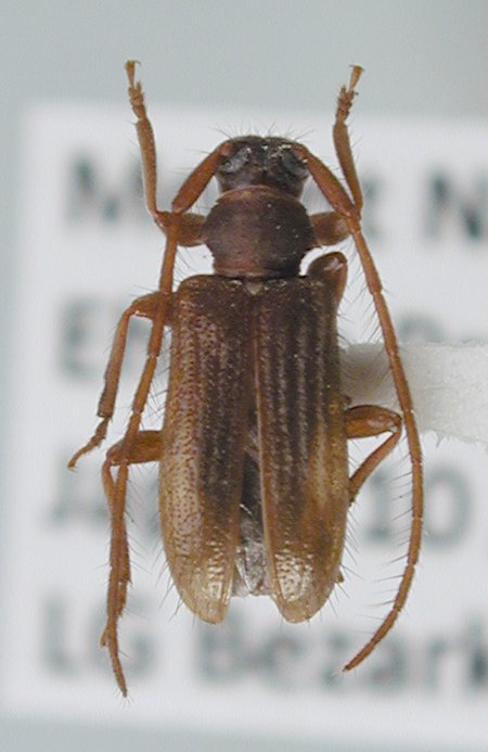
SubFamily Lamiinae

Tribe Pogonocherini
Exocentrus multilineatus Breuning 1955

Institution: LGBC Larry G. Bezark Collection, Sacramento, California, USA
Photographer: Larry G. Bezark
Collection Location: Mount Narabara, Ehime Prefecture, Japan
76396

130425