_Napp_and_Martins_MZSP_SWL.jpg)
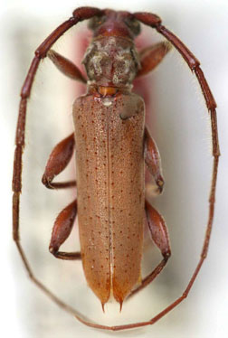
Specimen Type: holotype Sex: m Institution: MZSP Museu de Zoologia da Universidade de São Paulo, Brazil Photographer: Steve Lingafelter Collection Location: Angra dos Reis (Fazenda Jussaral), Rio de Janeiro, Brazil 9907
|

Photographer: Ole Mehl Collection Location: Department President Hayes, Paraguay 36829
|