
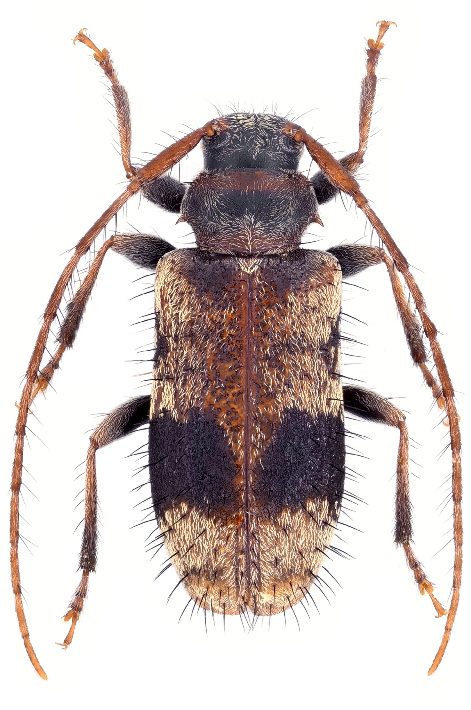
Photographer: Jacek Kurzawa Determiner: Kurzawa Collection Location: vic Altai, East Kazakhstan 40858
|
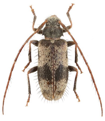
_Gangl_Putintsevo_East_Kazakhstan_Region_Kazakhstan_Karpinski_pic.jpg)
Sex: m Photographer: Karpinski Collection Location: Putintsevo, East Kazakhstan Region, Kazakhstan 58999
|
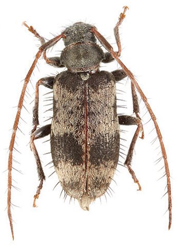
_Gangl_Putintsevo_East_Kazakhstan_Region_Kazakhstan_Karpinski_pic.jpg)
Sex: f Photographer: Karpinski Collection Location: Putintsevo, East Kazakhstan Region, Kazakhstan 59000
|
|