_MZSP_SWL.jpg)
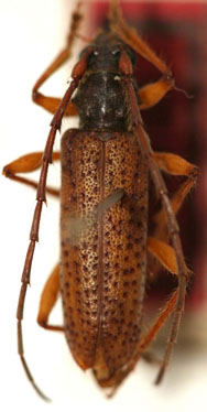
Nephalius adelphus Martins Specimen Type: holotype Sex: f Institution: MZSP Museu de Zoologia da Universidade de São Paulo, Brazil Photographer: Steve Lingafelter Collection Location: Unai, Minas Gerais, Brazil 9887
|
_Martins_Unai_Minas_Gerais_Brazil_Pap_Avuls_Zoo.jpg)
Nephalius adelphus Martins Specimen Type: holotype Sex: f Institution: MZSP Museu de Zoologia da Universidade de São Paulo, Brazil Collection Location: Unai, Minas Gerais, Brazil 22123
|