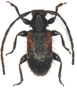
_Breuning_BPBM_Nobuo_Ohbay.jpg)
Specimen Type: holotype Institution: BPBM Bernice P. Bishop Museum, Honolulu, Hawaii, USA Photographer: Nobuo Ohbayashi Collection Location: Vientiane, Laos 44556
|

Photographer: Meiying Lin 42699
|
_semiglaber_Breuning_CAS.jpg)
Institution: CAS California Academy of Sciences, San Francisco, CA, USA Photographer: Larry G. Bezark 40795
|
|