_Ch_and_Lins_AMNH_Piste_Yucatan_Mexico_=_Megapsyrassa.jpg)
Pseudaneflus auricomis Chemsak & Linsley Specimen Type: holotype Sex: f Institution: AMNH American Museum of Natural History, New York, NY, USA Collection Location: Piste, Yucatan, Mexico 27925
|
_Chemsak_and_Linsley_AMNH_JAC_=_Megapsyrassa.jpg)
Pseudaneflus auricomis Chemsak & Linsley Specimen Type: holotype Sex: f Institution: AMNH American Museum of Natural History, New York, NY, USA Photographer: John Chemsak Collection Location: Piste, Yucatan, Mexico 18345
|
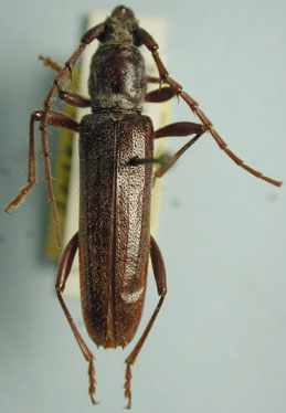
_Chemsak_and_Linsley_Yucatan_Mexico_UCB.jpg)
Pseudaneflus auricomis Chemsak & Linsley Specimen Type: paratype Institution: UCB Essig Museum of Entomology, Berkeley, California, USA Photographer: Larry G. Bezark Collection Location: Yucatan, Mexico 9866
|
|