_Bates_BMNH_Rinconada_VC_Mex_nowMeganeflus_LGB.jpg)
Specimen Type: syntype Institution: BMNH British Museum Natural History, London, UK Photographer: Larry G. Bezark Collection Location: Rinconada, Veracruz, Mexico 46280
|
 Nuexo X-can, Quintana Roo, Mexico JCPC LGB.jpg)
Institution: JCPC Jim Cope Collection, San Jose, California, USA now at CSCA, Sacramento Photographer: Larry G. Bezark Determiner: Jim Cope Collection Location: Nuexo X-can, Quintana Roo, Mexico 98914
|
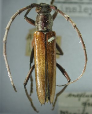
.jpg)
Institution: CAS California Academy of Sciences, San Francisco, CA, USA Photographer: Larry G. Bezark 9860
|
|