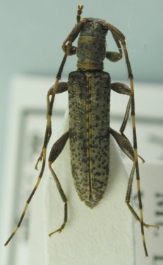
_saperdina_Bates_CAS.jpg)
Institution: CAS California Academy of Sciences, San Francisco, CA, USA Photographer: Larry G. Bezark 39064
|

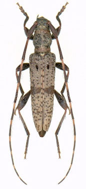
Photographer: Larry G. Bezark Collection Location: Mt Daibosatsu, Yamanashi Prefecture, Japan 39089
|
_(Bates)_Japan_Kyoto_pref_Maizuru_City_Ziarko.jpg)
Sex: m Photographer: Szczepan Ziarko Collection Location: Maizuru City, Kyoto Prefecture, Japan 39090
|
 Bates Zolotaya River, Kuril Islands, Yuznho-Kurilsky Dist, Sakhalin Reg, Russia Makarov.jpg)
39071
|
|