New Search Family, Subfamily and Tribe List

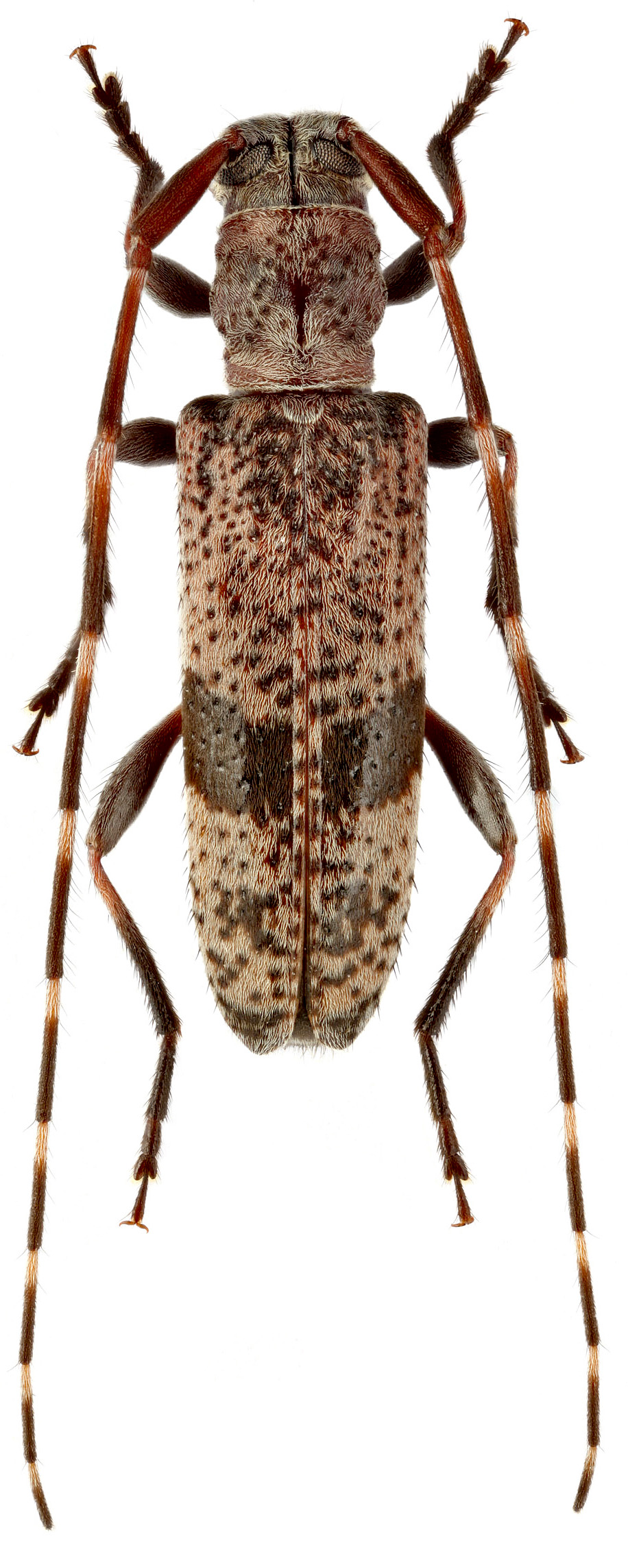
SubFamily Lamiinae

Tribe Acanthocinini
Rondibilis schabliovskyi (Tsherepanov, 1982)

Sex: f
Photographer: Maxim E. Smirnov
Collection Location: Kaymanovka Village, Ussuriysk Dist, Primorsky krai, Russian Far East
81850

130425