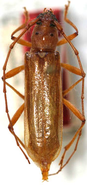
_Napp_and_Martins_MNRJ_SWL.jpg)
Specimen Type: holotype Sex: m Institution: MNRJ Museu Nacional Universidade do Rio Janeiro, Brazil Photographer: Steve Lingafelter Collection Location: Encruzilhada, Motel Divisa, km 965 da rodovia Rio-Bahia, Bahia, Brazil 8868
|
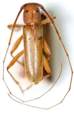
_Napp_and_Martins_MZSP_SWL.jpg)
Specimen Type: paratype Institution: MZSP Museu de Zoologia da Universidade de São Paulo, Brazil Photographer: Steve Lingafelter 8869
|