_Galileo_and_Martins.jpg)
Specimen Type: holotype Sex: m Institution: MZSP Museu de Zoologia da Universidade de São Paulo, Brazil Determiner: Papéis Avulsos Zoologia Collection Location: Buena Vista, Santa Cruz, Bolivia 8854
|
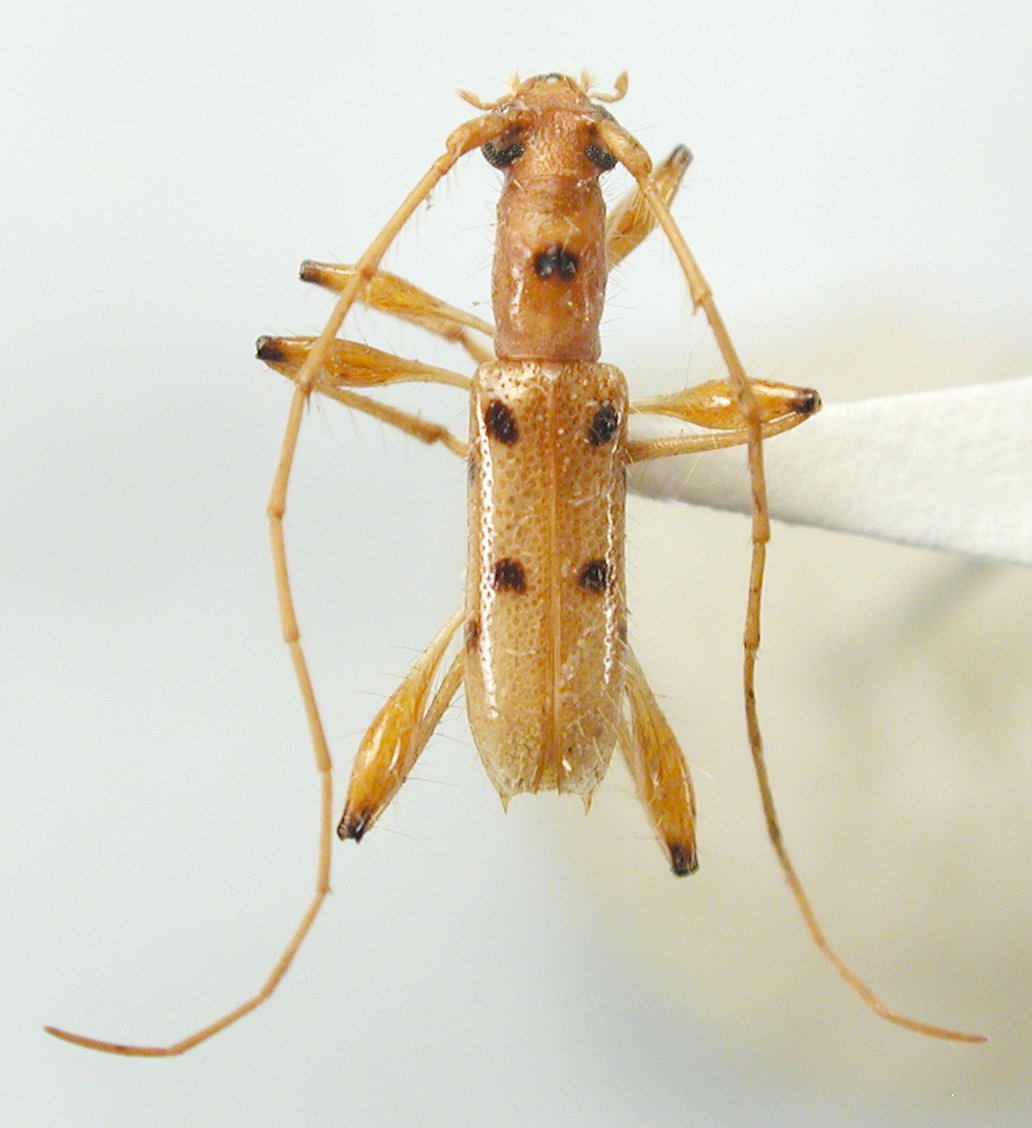
_Galileo_and_Martins_MZSP_SWL.jpg)
Specimen Type: holotype Sex: m Institution: MZSP Museu de Zoologia da Universidade de São Paulo, Brazil Photographer: Steve Lingafelter Collection Location: Buena Vista, Santa Cruz, Bolivia 8855
|

Institution: JCPC Jim Cope Collection, San Jose, California, USA now at CSCA, Sacramento Photographer: Larry G. Bezark Determiner: Roy Morris Collection Location: Flora & Fauna Hotel, Buena Vista, Santa Cruz, Bolivia 98054
|

Photographer: Jim Wappes Collection Location: Bolivia 8856
|
|