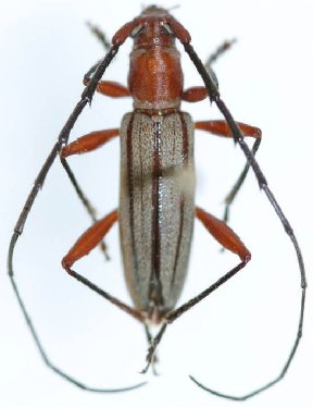
_Bates_BMNH_Chontales_Nicaragua_LGB.jpg)
Specimen Type: holotype Sex: m Institution: BMNH British Museum Natural History, London, UK Photographer: Larry G. Bezark Collection Location: Chontales, Nicaragua 46927
|
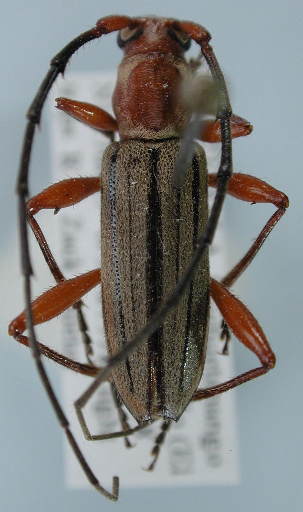
_Bates_BMNH_JAC.jpg)
Specimen Type: holotype Sex: m Institution: BMNH British Museum Natural History, London, UK Photographer: John Chemsak Collection Location: Chontales, Nicaragua 16940
|

Photographer: Steve Lingafelter Collection Location: Nicaragua 25990
|

Institution: BCA Biologia Centrali Americana 8687
|

Photographer: Jim Wappes Collection Location: Bolivia 8688
|

Institution: LGBC Larry G. Bezark Collection, Sacramento, California, USA Photographer: Larry G. Bezark Collection Location: 1 km E El Pillilo, El Limonar, Huehuetenango, Guatemala 8689
|
|