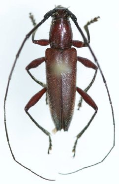
_Bates_BMNH_Santo_Domingo_Chontales_Nic_LGB.jpg)
Specimen Type: holotype Sex: m Institution: BMNH British Museum Natural History, London, UK Photographer: Larry G. Bezark Collection Location: Santo Domingo, Chontales, Nicaragua 46925
|
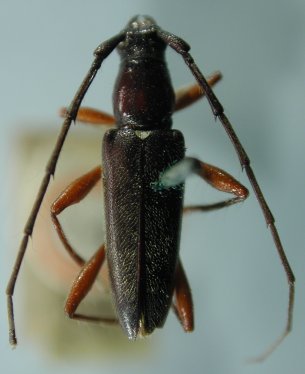
_Bates_BMNH_JAC.jpg)
Specimen Type: holotype Sex: m Institution: BMNH British Museum Natural History, London, UK Photographer: John Chemsak Collection Location: Santo Domingo, Chontales, Nicaragua 16938
|

Photographer: Steve Lingafelter Collection Location: Nicaragua 25989
|

Institution: LGBC Larry G. Bezark Collection, Sacramento, California, USA Photographer: Larry G. Bezark Collection Location: 4 km N Canas, Puntarenas, Costa Rica 22791
|

Institution: FTH Frank T. Hovore collection (now at California Academy of Sciences) Photographer: Larry G. Bezark Collection Location: Chamela, Jalisco, Mexico 8683
|

Institution: BCA Biologia Centrali Americana 8684
|
|