New Search Family, Subfamily and Tribe List

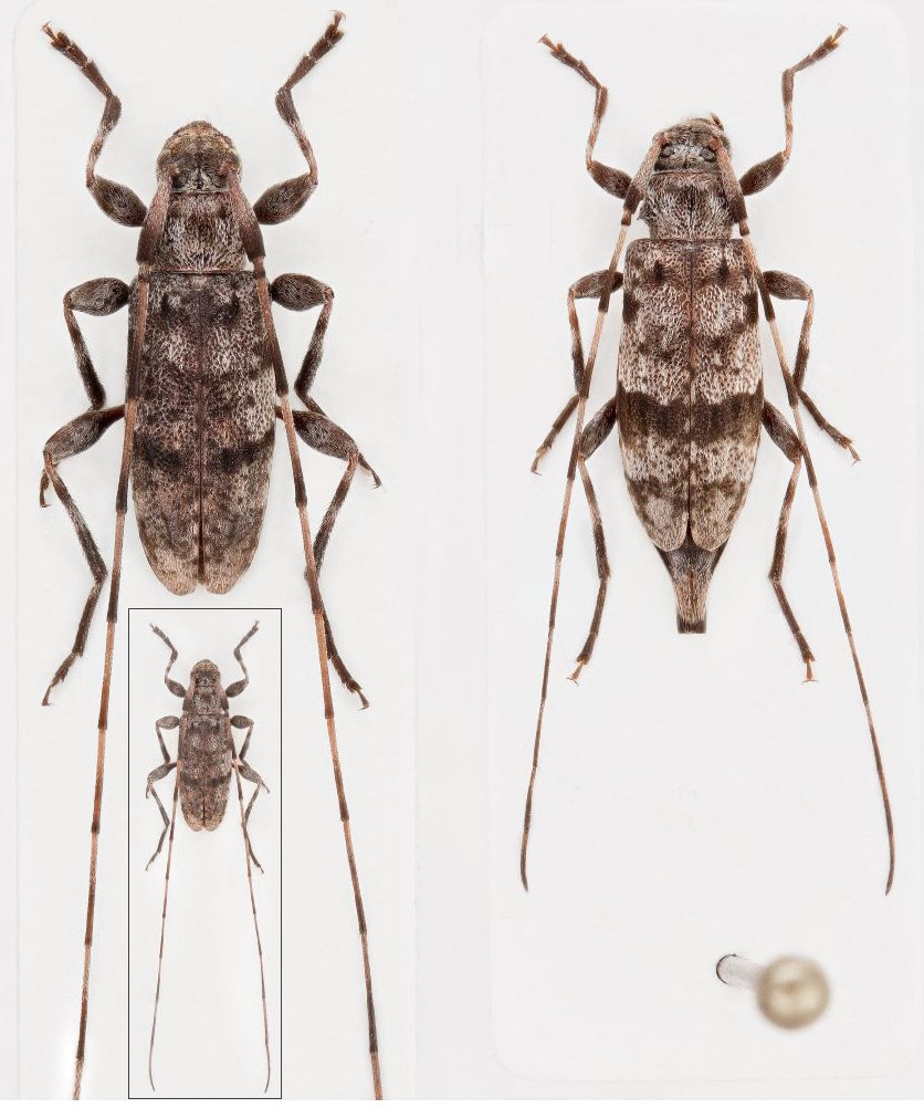
SubFamily Lamiinae

Tribe Acanthocinini
Acanthocinus henschi henschi Reitter 1900

Photographer: Boza & Sedlacek
Collection Location: Croatia
75647


Sex: m
Photographer: Jacek Kurzawa
Determiner: Kurzawa
Collection Location: Croatia, Krasno Polje
31030


Sex: m
31031

130425