_Knull_NMNH_Big_Bend_NP_Panther_Jct_Texas_SWL.jpg)
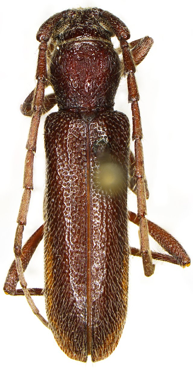
Gymnopsyra aspera Knull Specimen Type: holotype Sex: m Institution: NMNH United States National Museum, Washington, DC, USA Photographer: Steve Lingafelter Collection Location: Big Bend NP, Panther Junction, Texas 1273
|

Photographer: Steve Lingafelter Determiner: Mem. Ent. Soc. America 1274
|

Institution: UCB Essig Museum of Entomology, Berkeley, California, USA Photographer: Larry G. Bezark Collection Location: Big Bend, Texas 1275
|
|