 Gouv coll Mt Phu Pan, Houa Phan Province, Laos.jpg)
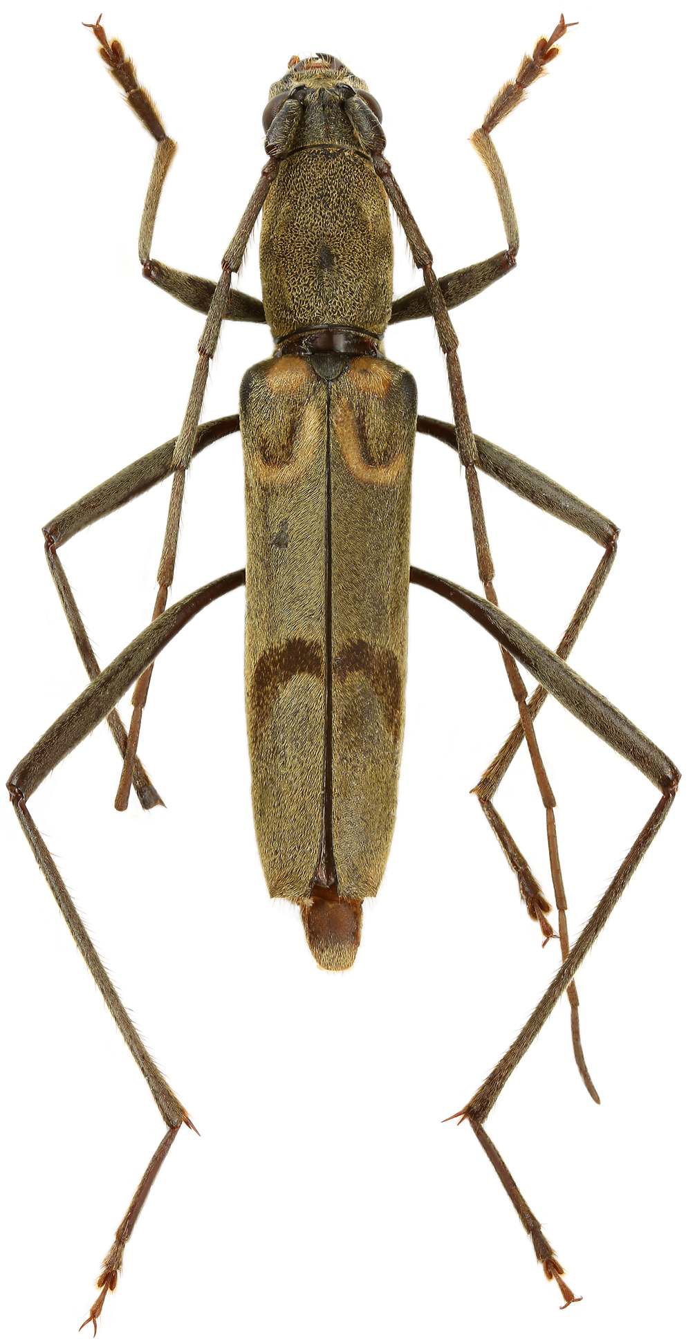
Specimen Type: holotype Sex: f Institution: Gouverneur Collection Photographer: Xavier Gouverneur Collection Location: Mt Phu Pan, Houa Phan Province, Laos 79013
|
 Gouv coll Mt Phu Pan, Houa Phan Province, Laos.jpg)
Specimen Type: holotype Sex: f Institution: Gouverneur Collection Photographer: Xavier Gouverneur Collection Location: Mt Phu Pan, Houa Phan Province, Laos 79014
|