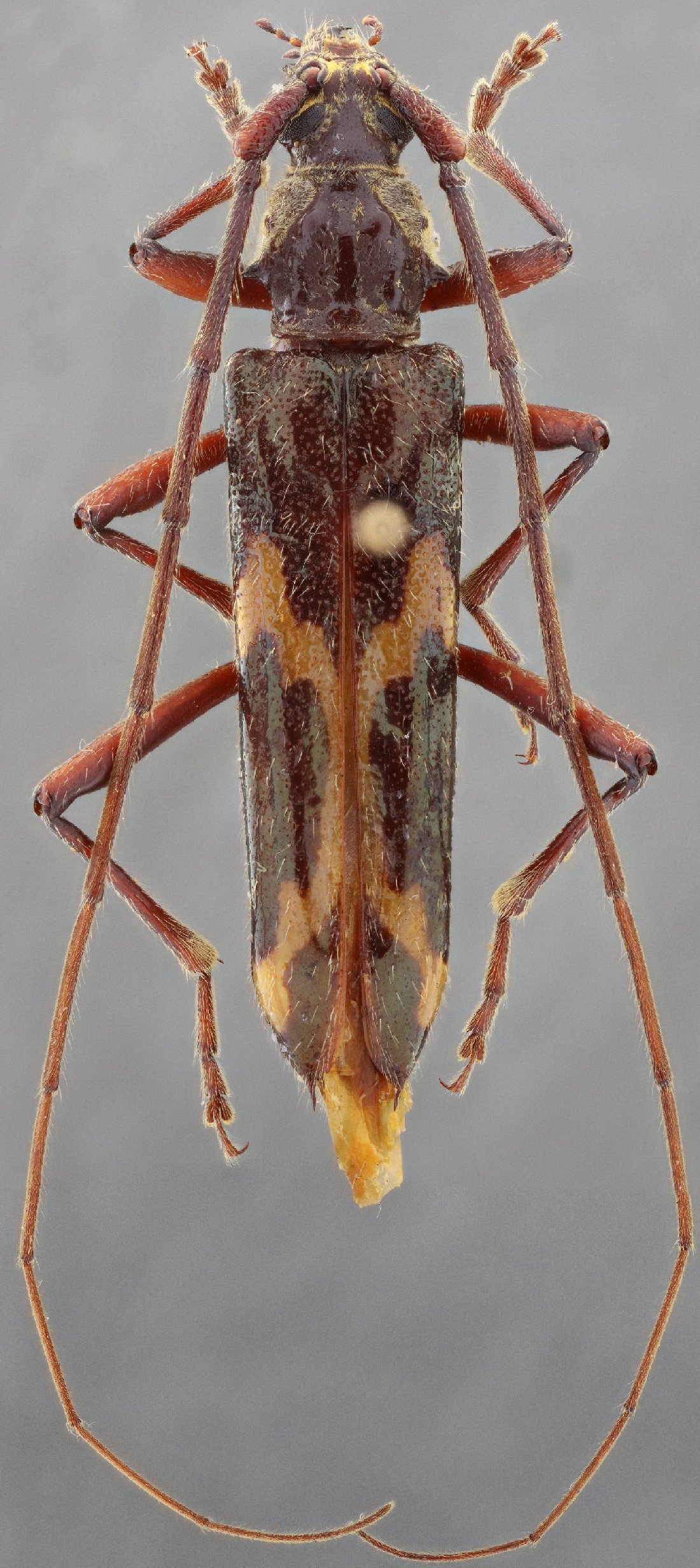
_Martins_MZSP_SWL.jpg)
Specimen Type: holotype Sex: m Institution: MZSP Museu de Zoologia da Universidade de São Paulo, Brazil Photographer: Steve Lingafelter Collection Location: Siberia, Cochabamba, Bolivia 7855
|
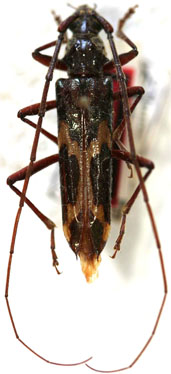
 Martins MZSP Siberia, Cochabamba, Bolivia SS.jpg)
Specimen Type: holotype Sex: m Institution: MZSP Museu de Zoologia da Universidade de São Paulo, Brazil Photographer: Antonio Santos-Silva Collection Location: Siberia, Cochabamba, Bolivia 77488
|