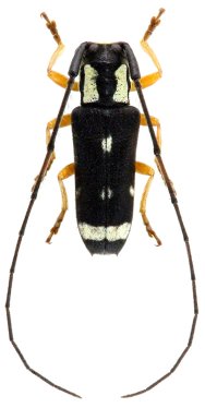
_Frederic_Robin_photo.jpg)
Specimen Type: holotype Sex: m Institution: MNHN Museum of Natural History Paris, France Photographer: Frédéric Robin Collection Location: Maripasoula, French Guiana 48831
|
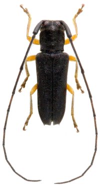
_Frederic_Robin_photo.jpg)
Specimen Type: holotype Sex: m Institution: MNHN Museum of Natural History Paris, France Photographer: Frédéric Robin Collection Location: Maripasoula, French Guiana 48832
|
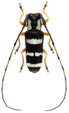
_Frederic_Robin_photo.jpg)
Specimen Type: holotype Sex: m Institution: MNHN Museum of Natural History Paris, France Photographer: Frédéric Robin Collection Location: Maripasoula, French Guiana 48833
|
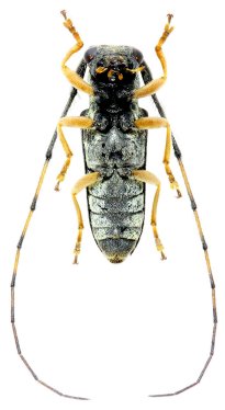
_Frederic_Robin_photo.jpg)
Specimen Type: holotype Sex: m Institution: MNHN Museum of Natural History Paris, France Photographer: Frédéric Robin Collection Location: Maripasoula, French Guiana 48834
|
_Frederic_Robin_photo.jpg)
Specimen Type: paratype Sex: f Institution: MNHN Museum of Natural History Paris, France Photographer: Frédéric Robin Collection Location: Maripasoula, French Guiana 48835
|
_Frederic_Robin_photo.jpg)
Specimen Type: paratype Sex: m Institution: MNHN Museum of Natural History Paris, France Photographer: Frédéric Robin Collection Location: Maripasoula, French Guiana 48836
|
_Touroult_Dalens_Maripasoula_FG.jpg)
Specimen Type: paratype Sex: m Institution: MNHN Museum of Natural History Paris, France Photographer: Frédéric Robin Collection Location: Maripasoula, French Guiana 48837
|

Sex: m Photographer: Frédéric Robin Collection Location: Alama Creek, Mitaraka Massif, French Guiana 80585
|