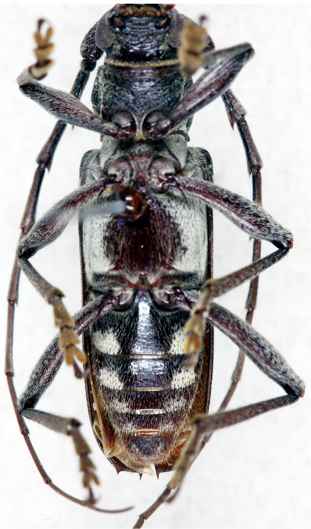
_Bates_MNHN_Mexico_now_Enaphalodes.jpg)
Hypermallus senex Bates Specimen Type: holotype Sex: m Institution: MNHN Museum of Natural History Paris, France Collection Location: Northern Mexico 64177
|
_Bates_MNHN_Mexico_now_Enaphalodes_Max_Barclay.jpg)
Hypermallus senex Bates Specimen Type: holotype Sex: m Institution: MNHN Museum of Natural History Paris, France Collection Location: Northern Mexico 64178
|
_Bates_MNHN_Mexico_now_Enaphalodes.jpg)
Hypermallus senex Bates Specimen Type: holotype Sex: m Institution: MNHN Museum of Natural History Paris, France Collection Location: Northern Mexico 64179
|
_Bates_MNHN_Mexico_now_Enaphalodes.jpg)
Hypermallus senex Bates Specimen Type: holotype Sex: m Institution: MNHN Museum of Natural History Paris, France Collection Location: Northern Mexico 64180
|
_Bates_BMNH_JAC_=_Enaphalodes_taeniatus.jpg)
Hypermallus senex Bates Specimen Type: holotype Sex: m Institution: MNHN Museum of Natural History Paris, France Photographer: John Chemsak Collection Location: Northern Mexico 16363
|
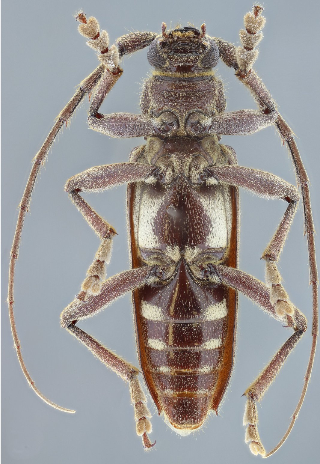
_SS.jpg)
Sex: m Photographer: Antonio Santos-Silva 64187
|
_SS.jpg)
Sex: f Photographer: Antonio Santos-Silva 64188
|
_SS.jpg)
Sex: m Photographer: Antonio Santos-Silva 64189
|
_SS.jpg)
Sex: m Photographer: Antonio Santos-Silva 64190
|
_SS.jpg)
Sex: m Photographer: Antonio Santos-Silva 64191
|