_New_Caledonia_det_Sudre_forum.jpg)
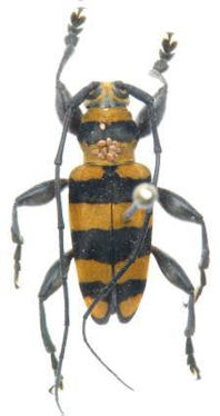
Institution: LGBC Larry G. Bezark Collection, Sacramento, California, USA Photographer: Larry G. Bezark Determiner: Jerome Sudre, Cerambycoidea Forum Collection Location: South Province, New Caledonia 50341
|
_New_Caledonia_det_Sudre_forum.jpg)
Institution: LGBC Larry G. Bezark Collection, Sacramento, California, USA Photographer: Larry G. Bezark Determiner: Jerome Sudre, Cerambycoidea Forum Collection Location: South Province, New Caledonia 50342
|