New Search Family, Subfamily and Tribe List

SubFamily Lamiinae

Tribe Apomecynini
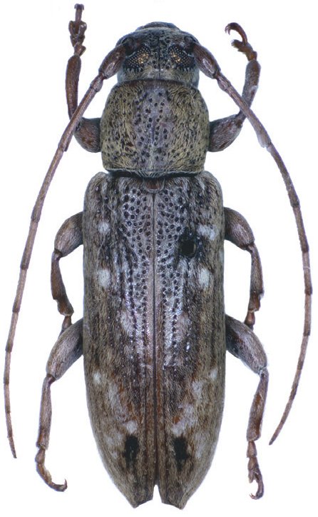
Sybra fuscoapicalis Breuning 1939

Sybra egumensis Breuning
Specimen Type: paratype
Sex: f
Institution: MNHN Museum of Natural History Paris, France
Determiner: The Entomological Society of Latvia
Collection Location: Yanarba, Egum Island, Papua New Guinea
62748

130425