New Search Family, Subfamily and Tribe List

SubFamily Lamiinae

Tribe Enicodini
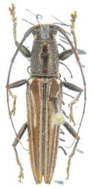
Nemaschema mulsanti Perroud 1864

Determiner: Mémoires de la Société Linnéenne de Lyon
Collection Location: New Caledonia
54158

130425