 Montrouz IRSNB Balade et Ile D Art, New Caledonia now Nemaschema Locatelli2.jpg)
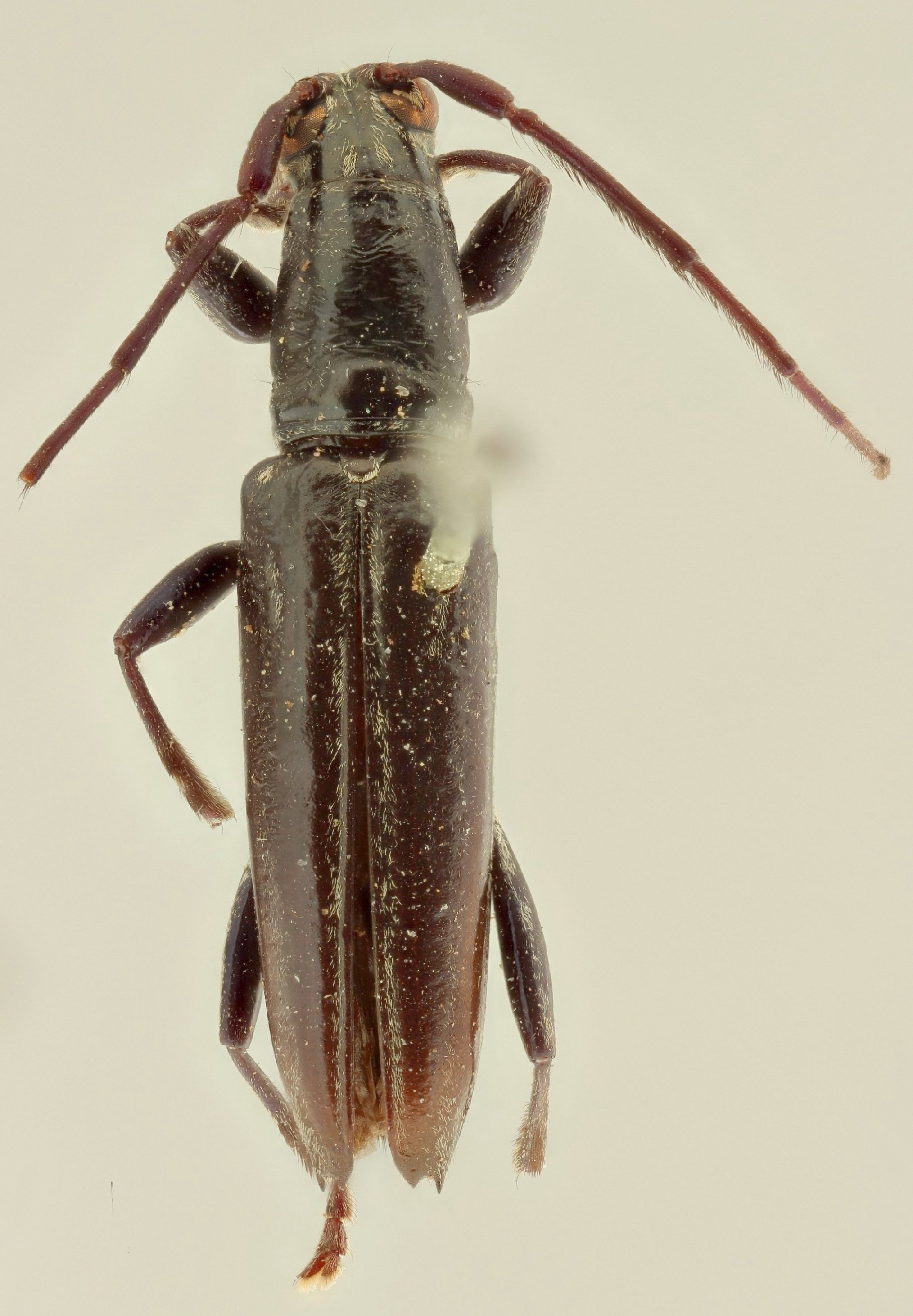
Leptonota lamberti Montrouzier Specimen Type: syntype ©IRSNB Institution: IRSNB Royal Belgian Institute of Natural Sciences, Brussels, Belgium Photographer: Camille Locatelli Collection Location: Balade et Ile D Art, New Caledonia 77694
|
 Montrouz IRSNB Balade et Ile D Art, New Caledonia now Nemaschema Locatelli2.jpg)
Leptonota lamberti Montrouzier Specimen Type: syntype ©IRSNB Institution: IRSNB Royal Belgian Institute of Natural Sciences, Brussels, Belgium Photographer: Camille Locatelli Collection Location: Balade et Ile D Art, New Caledonia 77695
|
 Montrouz IRSNB Balade et Ile D Art, New Caledonia now Nemaschema Locatelli2.jpg)
Leptonota lamberti Montrouzier Specimen Type: syntype ©IRSNB Institution: IRSNB Royal Belgian Institute of Natural Sciences, Brussels, Belgium Photographer: Camille Locatelli Collection Location: Balade et Ile D Art, New Caledonia 77696
|
_Mamie_New_Caledonia_det_Sudre_forum.jpg)
Institution: LGBC Larry G. Bezark Collection, Sacramento, California, USA Photographer: Larry G. Bezark Determiner: Jerome Sudre, Cerambycoidea Forum Collection Location: Mamie, New Caledonia 50355
|
_Mamie_New_Caledonia_det_Sudre_forum.jpg)
Institution: LGBC Larry G. Bezark Collection, Sacramento, California, USA Photographer: Larry G. Bezark Determiner: Jerome Sudre, Cerambycoidea Forum Collection Location: Mamie, New Caledonia 50356
|
|