New Search Family, Subfamily and Tribe List

SubFamily Lamiinae

Tribe Enicodini
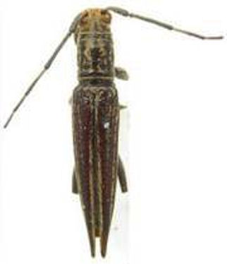
Clavenicodes clavus (Fauvel, 1906)

Determiner: Mémoires de la Société Linnéenne de Lyon
Collection Location: New Caledonia
35284

130425