New Search Family, Subfamily and Tribe List

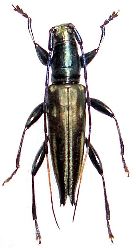
SubFamily Lamiinae

Tribe Enicodini
Lepturonota tristis (Montrouzier, 1861)

Leptonota albovittata Fauvel
Photographer: Jim Cope
51682


Photographer: Sergei Troccoli, Cerambycoidea Forum
Determiner: Gerard Chemin, Cerambycoidea Forum
Collection Location: Sarramea, S Province, New Caledonia
78334

130425