
Photographer: Gino Nearns 49610
|
_New_Caledonia.jpg)
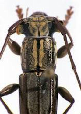
Sex: m Determiner: Mémoires de la Société Linnéenne de Lyon Collection Location: New Caledonia 38746
|
_New_Caledonia.jpg)
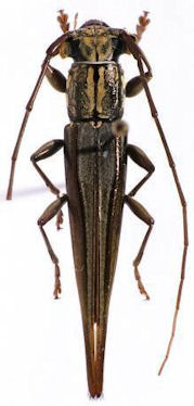
Sex: f Determiner: Mémoires de la Société Linnéenne de Lyon Collection Location: New Caledonia 38747
|
_New_Caledonia.jpg)
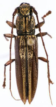
Sex: f Determiner: Mémoires de la Société Linnéenne de Lyon Collection Location: New Caledonia 38748
|

Sex: f Institution: LGBC Larry G. Bezark Collection, Sacramento, California, USA Photographer: Larry G. Bezark 38739
|