New Search Family, Subfamily and Tribe List

SubFamily Lamiinae

Tribe Dorcaschematini
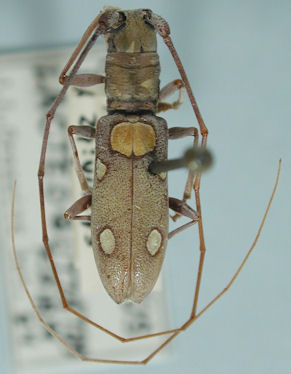
Olenecamptus bilobus lacteoguttatus Fairmaire 1881

Institution: CAS California Academy of Sciences, San Francisco, CA, USA
Determiner: Gressitt
55035

130425