_Gressitt_CAS_7483_LGB.jpg)
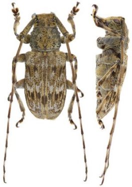
Coptops hirtiventris Gressitt Specimen Type: holotype Sex: f Institution: CAS California Academy of Sciences, San Francisco, CA, USA Photographer: Larry G. Bezark Collection Location: Haha-jima, Bonin Islands, Japan 35892
|
_(Gressitt)_Yamasako.jpg)
Sex: m Photographer: Yamasako Determiner:
Zoological Studies 55341
|