New Search Family, Subfamily and Tribe List

SubFamily Cerambycinae

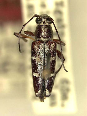
Tribe Glaucytini
Scituloglaucytes argentea (Gressitt, 1956)

Glaucytes argentea Gressitt
Specimen Type: holotype
Sex: f
Institution: NMNH United States National Museum, Washington, DC, USA
Photographer: Steve Lingafelter
Collection Location: Ngaremedu Bay, West Caroline Island, Palau
41625

130425