New Search Family, Subfamily and Tribe List

SubFamily Cerambycinae

Tribe Clytini
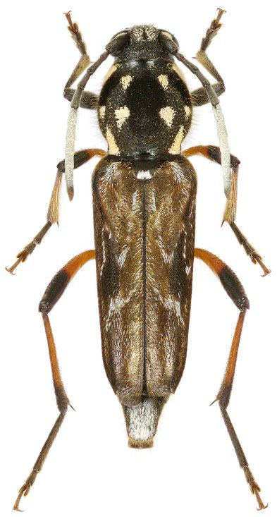
Spinotrechus grayii grayii (White, 1855)

Sex: f
Institution: Viktora Collection
Photographer: Petr Viktora
Collection Location: China
75090


Sex: f
Institution: Viktora Collection
Photographer: Petr Viktora
Collection Location: China
75091


Sex: f
Collection Location: Japan
66744


Institution: CAS California Academy of Sciences, San Francisco, CA, USA
Photographer: Larry G. Bezark
66743

130425