_Gressitt_Davis_BPBM_Nobuo_Ohbay.jpg)
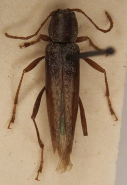
Specimen Type: holotype Sex: m Institution: BPBM Bernice P. Bishop Museum, Honolulu, Hawaii, USA Photographer: Nobuo Ohbayashi Collection Location: Kawaihae-uka, Kohala Mts., Hawaii 45137
|
_Gressitt_Davis_BPBM_Nobuo_Ohbay.jpg)
Specimen Type: allotype Sex: f Institution: BPBM Bernice P. Bishop Museum, Honolulu, Hawaii, USA Photographer: Nobuo Ohbayashi Collection Location: Kawaihae-uka, Kohala Mts., Hawaii 45138
|