_Bates_BMNH_Santo_Domingo_Chontales_Nic_nowElaphidion_LGB.jpg)
Hypermallus scabricollis Bates Specimen Type: holotype Sex: f Institution: BMNH British Museum Natural History, London, UK Photographer: Larry G. Bezark Collection Location: Santo Domingo, Chontales, Nicaragua 16870
|
_Bates_BMNH_JAC_=_Elaphidion_scabricolle.jpg)
Hypermallus scabricollis Bates Specimen Type: holotype Sex: f Institution: BMNH British Museum Natural History, London, UK Photographer: John Chemsak Collection Location: Santo Domingo, Chontales, Nicaragua 16871
|
 (Bates) DJH coll Fortuna Cabins, Ngobe-Bugle, Panama SS.jpg)
Sex: m Institution: Heffern Collection Photographer: Antonio Santos-Silva Collection Location: Fortuna Cabins, Ngobe-Bugle, Panama 81756
|
 (Bates) DJH coll Fortuna Cabins, Ngobe-Bugle, Panama SS.jpg)
Sex: f Institution: Heffern Collection Photographer: Antonio Santos-Silva Collection Location: Fortuna Cabins, Ngobe-Bugle, Panama 81757
|
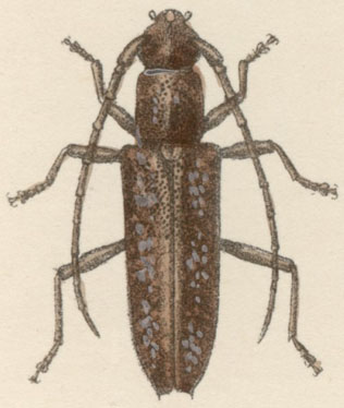
_BCA.jpg)
Institution: BCA Biologia Centrali Americana 7227
|
|