_Perkins_BPBM_Nobuo_Ohbay.jpg)
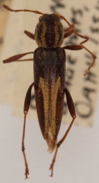
Neoclytarlus chenopodii Perkins Specimen Type: syntype Institution: BPBM Bernice P. Bishop Museum, Honolulu, Hawaii, USA Photographer: Nobuo Ohbayashi Collection Location: Waianae Mts., Palikea, Oahu, Hawaii 44751
|

Institution: CAS California Academy of Sciences, San Francisco, CA, USA Photographer: Larry G. Bezark Collection Location: Waianae Mts., Palikea, Oahu, Hawaii 57106
|