New Search Family, Subfamily and Tribe List

SubFamily Cerambycinae

Tribe Clytini
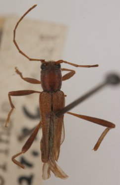
Plagithmysus rubi Perkins 1931

Specimen Type: holotype
Sex: m
Institution: BPBM Bernice P. Bishop Museum, Honolulu, Hawaii, USA
Photographer: Nobuo Ohbayashi
Collection Location: Olinda, Maui, Hawaii
45150

130425