New Search Family, Subfamily and Tribe List

SubFamily Cerambycinae

Tribe Clytini
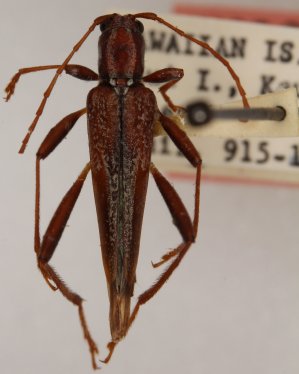
Plagithmysus mauiensis Gressitt 1972

Specimen Type: holotype
Sex: f
Institution: BPBM Bernice P. Bishop Museum, Honolulu, Hawaii, USA
Photographer: Nobuo Ohbayashi
Collection Location: Kahana ridge, Kaulalewelewe, on Puu Kukui trail, West Maui, Hawaii
45117

130425