New Search Family, Subfamily and Tribe List

SubFamily Lamiinae

Tribe Parmenini
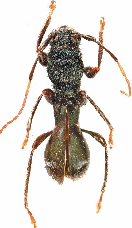
Falsohomaemota novaecaledonica Hayashi 1961

41247


Sex: f
Institution: Vives Collection
Photographer: Eduard Vives
Collection Location: Col des Roussete, New Caledonia
101646

130425