_Li_Chen_SAUC_Mt_Jinushan_Chongqing_Beibei_Dist_China.jpg)
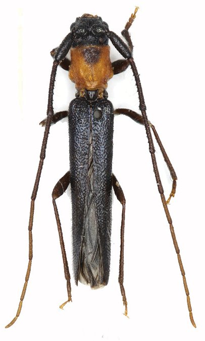
Specimen Type: holotype Sex: m Institution: SAUC Insect Collection of the Southwest Agricultural University, Chongqing, China Photographer: Li & Chen Collection Location: Mt Jinushan, Chongqing, Beibei District, China 70501
|
_Li_Chen_SAUC_Mt_Jinushan_Chongqing_Beibei_Dist_China.jpg)
Specimen Type: holotype Sex: m Institution: SAUC Insect Collection of the Southwest Agricultural University, Chongqing, China Photographer: Li & Chen Collection Location: Mt Jinushan, Chongqing, Beibei District, China 70502
|