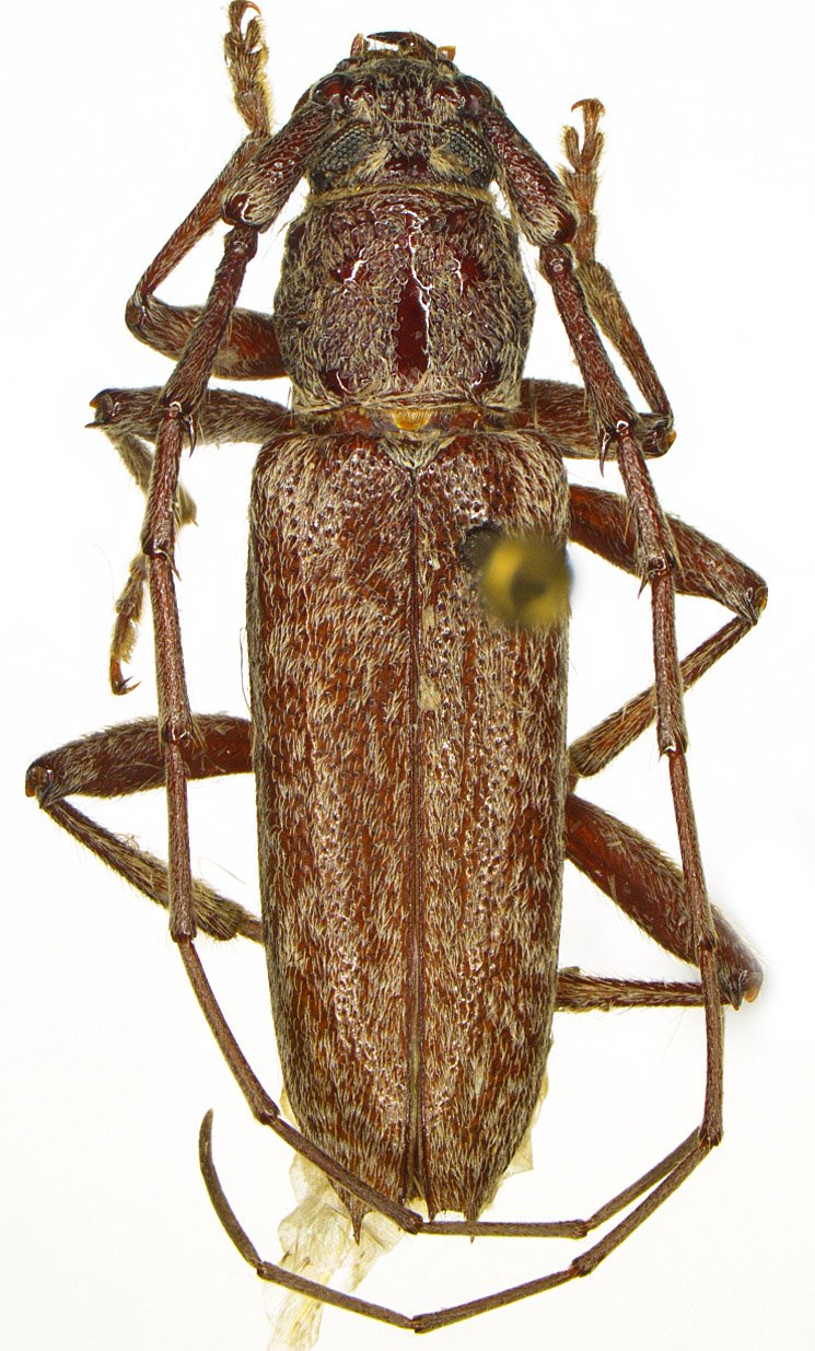
 Knull FMNH Davis Mountains, Jeff Davis County, Texas SWL.jpg)
Specimen Type: holotype Sex: m Institution: FMNH Field Museum of Natural History, Chicago, IL, USA Photographer: Steve Lingafelter Collection Location: Davis Mountains, Jeff Davis County, Texas 80020
|

Institution: LGBC Larry G. Bezark Collection, Sacramento, California, USA Photographer: Larry G. Bezark Collection Location: Hwy 90 at Pecos River, Val Verde County, Texas 1032
|