_Miroshnikov_coll_7kmN_Pensiangan_Nabawan_Sabah_Borneo.jpg)
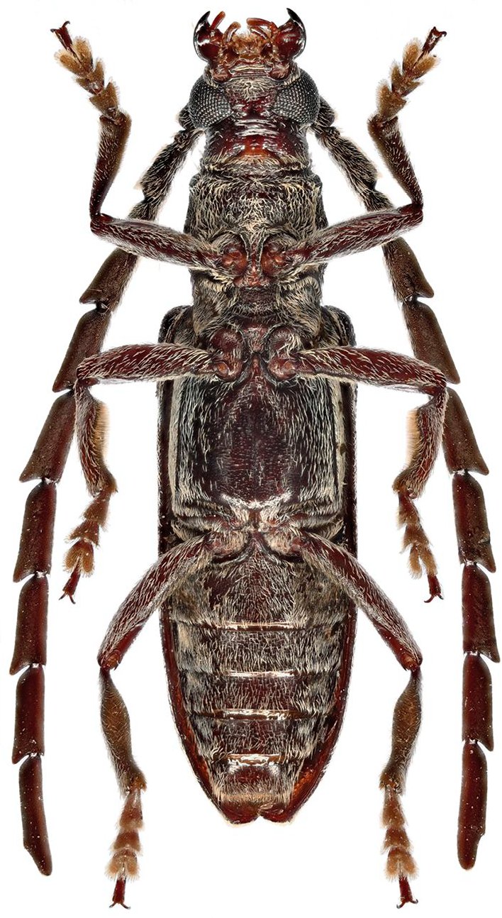
Specimen Type: holotype Sex: m Institution: Miroshnikov Collection Photographer: Miroshnikov Collection Location: 7 km N Pensiangan, Nabawan District, Sabah, Borneo 70754
|
_Miroshnikov_coll_7kmN_Pensiangan_Nabawan_Sabah_Borneo.jpg)
Specimen Type: holotype Sex: m Institution: Miroshnikov Collection Photographer: Miroshnikov Collection Location: 7 km N Pensiangan, Nabawan District, Sabah, Borneo 70755
|