
Institution: JCPC Jim Cope Collection, San Jose, California, USA now at CSCA, Sacramento Photographer: Larry G. Bezark Determiner: Jim Cope Collection Location: Lake Ponui Preserve, Lower Wairarapa Valley, New Zealand 97278
|

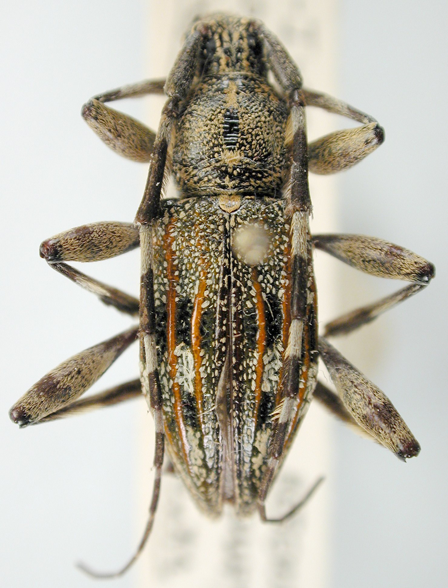
Institution: JCPC Jim Cope Collection, San Jose, California, USA now at CSCA, Sacramento Photographer: Larry G. Bezark Determiner: Jim Cope Collection Location: Lake Ponui Preserve, Lower Wairarapa Valley, New Zealand 97279
|

Institution: JCPC Jim Cope Collection, San Jose, California, USA now at CSCA, Sacramento Photographer: Larry G. Bezark Determiner: Jim Cope Collection Location: Lake Ponui Preserve, Lower Wairarapa Valley, New Zealand 97280
|

Institution: CAS California Academy of Sciences, San Francisco, CA, USA Photographer: Larry G. Bezark 50877
|
|