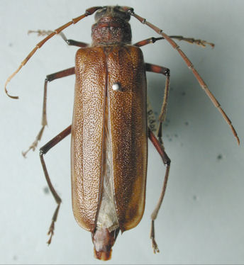
_Pascoe_BMNH_Waikato_Wellington_New_Zealand_LGB.jpg)
Specimen Type: syntype Institution: BMNH British Museum Natural History, London, UK Photographer: Larry G. Bezark Collection Location: Waikato, Wellington, New Zealand 48400
|
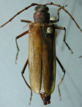
_Pascoe_BMNH_Waikato_Wellington_New_Zealand_LGB.jpg)
Specimen Type: syntype Institution: BMNH British Museum Natural History, London, UK Photographer: Larry G. Bezark Collection Location: Waikato, Wellington, New Zealand 48401
|

Institution: EMEC Essig Museum of Entomology, Berkeley, CA, USA Photographer: Larry G. Bezark Collection Location: Pane Pane Ridge, ASL 54969
|
|